Informatie over de besproken aandoeningen

 

  • HCM (Hypertrofische cardiomyopathie)

    Hypertrofische cardiomyopathie (HCM) is een medische term voor een ziekte die wordt gekenmerkt door overmatige groei van de hartspier (overmatige groei = hypertrofie, cardio = hart, myo = spier, pathie = ziekte). HCM komt niet alleen voor bij katten, maar ook bij mensen.

    De linkerkamer is het belangrijkste pompgedeelte van het hart. De spierwand van deze kamer is normaal gemiddeld 4 millimeter dik. Bij HCM kan de dikte van de spierwand toenemen tot wel 8 of zelfs 10 millimeter. De verdikking van deze spierwand gaat ten koste van de ruimte in de kamer. Er past dan niet meer zoveel bloed in de kamer, waardoor er per hartslag minder bloed het lichaam ingepompt wordt.

    Daarnaast wordt de dikke spierwand erg stug. Het vullen van de kamers vanuit de boezems zal hierdoor moeizamer verlopen. De boezems lopen vol en de druk binnenin stijgt. Hierdoor rekken de boezems op. Op een gegeven moment is de boezem zo groot en de druk binnenin zo hoog dat de bloedvaten die aangesloten zijn op de boezem (longader en holle ader naar buik) ook uitrekken. Uiteindelijk kan dit leiden tot vochtophopingen in longen, borstkas en /of buik.

    Naast problemen met vulling van het hart kunnen er ook problemen met het legen van het hart ontstaan. Door de vormverandering van het hart/de boezem kan de uitgang naar de aorta of longslagader vernauwen. Hierdoor wordt de bloedstroom vanuit het hart naar het lichaam belemmerd. Bovendien kan de klep tussen linkerboezem en kamer opengetrokken worden en gaan lekken.

     

    HCM is een erfelijke hartziekte. Het ziekteverloop is als volgt. Een kat wordt met een gezond hart geboren. Door een afwijking in het erfelijk materiaal (genetische mutatie) ontstaan op latere leeftijd zieke spiercellen in het hart. Deze afwijkende hartspiercellen veroorzaken een verdikte hartspierwand. De leeftijd waarop de verdikking optreedt is enorm variabel. Dit kan vanaf 6 maanden leeftijd plaatsvinden, maar ook pas op 15-jarige leeftijd. Een genetische mutatie die leidt tot HCM kan ook worden doorgegeven aan nakomelingen.

    Er bestaat een DNA-test om de aanleg van 1 bepaalde vorm van HCM te testen. Als deze test positief is wil dat zeggen dat je kat een genetische aanleg voor HCM heeft, met deze test kan alleen niet gezegd worden of je dier ook echt een verdikking van de hartspier gaat ontwikkelen. De enige manier om vast te stellen of de hartspier verdikt is, is door middel van het laten maken van een hartecho. Daarom moet, in tegenstelling tot bij HD, het hart op diverse tijdstippen onderzocht worden.

    Hoewel er geen behandeling bestaat voor de ziekte zelf, kan monitoring en ondersteunende therapie de levenskwaliteit van de kat sterk verbeteren en de levensduur ook verlengen. Het doel van de behandeling is de hartfrequentie onder controle houden, het vocht op de longen te verminderen en de vorming van stolsels tegen te gaan.

    Daarnaast worden soms ook ACE inhibitoren, beta-blockers en calciumkanaal blokkers gebruikt maar hiervoor is er weinig tot geen wetenschappelijke achtergrond. Beta-blockers hebben wel hun effect bewezen in specifieke gevallen, waarbij er een obstructie aanwezig is thv de aorta. Antiarrhythmica worden gebruikt in het geval er een verhoogd risico is op plotse sterfte door een aanwezige ritmestoornis.

 

  • SMA (Spinal Muscular Atrophy)

    Spinale Musculaire Atrofie is een erfelijke en aangeboren neuromusculaire aandoening, waarbij iets mis is met de motorische zenuwcellen in het ruggemerg, die uitlopers hebben naar de spieren. Een aantal van deze cellen functioneert niet omdat een groot gedeelte van het LIX1 gen vernietigd is, waardoor er geen of gebrekkige signalen aan de spieren worden doorgegeven en de zenuwcellen, die de skeletspieren aansturen afsterven.

    De afwijking is met name zichtbaar in de spieren. Er kan afbraak van spieren optreden, en vertraagd herstel van de spieren na inspanning. De eerste spierzwakte treedt op als de kittens drie of vier maanden oud zijn, ze kunnen niet meer goed lopen en springen. Als ze tussen de vijf en twaalf maanden oud zijn, gaan ze een zwaai met de poot maken vanuit het bekken. Ze hebben geen pijn, en er zijn katten die met deze aandoening negen jaar oud zijn geworden.
    Door het DNA te testen van de ouders kan de aandoening voorkomen worden.

 

  • HD (Heupdysplasie)

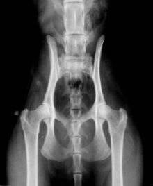
    Het is een afwijking van het heupgewricht. De heupkom kan te ondiep zijn om de heupkop goed te kunnen ondersteunen, waardoor de heupkop niet goed past. Dit kan resulteren in het onherstelbaar degenereren van het kraakbeen. Wanneer er geen kraakbeen meer is, zullen de botten elkaar raken bij het bewegen. Dit is erg pijnlijk voor een kat en kan leiden tot manken, stijf lopen of moeilijk springen. Bij ernstige heupdysplasie is een operatie soms onvermijdelijk om de kwaliteit van het leven te verbeteren.

    Heupdysplasie is algemeen bekend bij honden. Het kan ook bij andere zoogdieren voorkomen, zoals paarden, koeien, geiten en katten. Het komt ook bij mensen voor.

    Erfelijkheid is de grootste boosdoener bij katten. Een gericht fokbeleid door zieke katten uit te sluiten, kan een grote bijdrage leveren aan het uitbannen van deze aandoening.

    Sinds januari 2000 houdt de Zweedse Maine Coon rasvereniging een openbaar register bij waarin heup röntgenfoto worden bewaard. De administratie voor dit register wordt sinds juni 2012 bijgehouden door PawPeds. De aanbeveling is dat alle fokdieren getest zouden moeten worden voordat ze in een fokprogramma opgenomen gaan worden, om op die manier HD in het ras te verminderen.

     

 

    

 

              Een kat met normale heupen:

 

 

 

 

 

               Een kat met HD graad 3;

 

  • PKD (Polycystic Kidney Disease)

    Het is een ziekte van de nier, waarbij er zich in de nier holtes vormen die gevuld zijn met vocht (cystes). Deze holtes zijn al aanwezig vanaf de geboorte van de kat, maar zijn in eerste instantie heel klein. Naarmate het dier ouder wordt zullen deze holtes zich uitbreiden en het nierweefsel verdringen, waardoor de nieren niet meer kunnen functioneren.


    Katten met PKD hebben in eerste instantie geen klachten. Vaak wordt het per toeval gevonden. Pas op het moment dat de holtes in de nieren zo groot worden dat zij het gezonde nierweefsel gaan verdringen, krijgt het dier klachten van de verminderde nierfunctie. Het is onbekend hoe snel de ziekte ontstaat, meestal beginnen de eerste klachten rond de leeftijd van 7 jaar. Helaas komt het ook voor bij jongere dieren.

    De ziekte wordt vaak pas in een later stadium ontdekt als het dier klachten krijgt van een verminderde nierfunctie: in eerste instantie wordt er veel drinken en plassen gezien, het dier heeft verminderde eetlust, gaat vermageren en vaker overgeven.

    De diagnose PKD kan worden gesteld via een echografisch onderzoek van de nieren (bij voorkeur op de leeftijd van één jaar), dus voordat de kat voor de fok wordt ingezet.

    Gezien de grote populariteit van het ras, het grote aantal importen in binnen en buitenland en de testbereidheid van de fokkers zijn veel Maine Coons getest op PKD. Een enquête onder de radiologen omvat een goede afspiegeling van ons ras.

 

  • PK-def (Pyruvate Kinase Deficiency)

    Pyruvaat Kinase (PK) is een enzym dat essentieel is voor de energieproductie in rode bloedcellen. Bij lijders is dit enzym afwezig, waardoor rode bloedcellen versneld afgebroken worden. De afwijking kenmerkt zich door bloedarmoede. Bij diverse rassen is een verschillende mate van de symptomen beschreven.

    De verschijnselen bij katten, evenals de leeftijd waarop de ziekte zich openbaart, laten een grote variatie zien. Sommige katten vertonen nauwelijks of zelfs helemaal geen symptomen, bij andere katten doen zich al op jonge leeftijd ernstige verschijnselen voor. Vaak treden de symptomen ook periodiek op.

    De symptomen die met PKdef gepaard gaan zijn die van een haemolytische anaemie: sloomheid, moe, gebrek aan eetlust, bleke en soms wat gelige slijmvliezen. De urine kan donkerder van kleur zijn en vaak is ook de milt vergroot. Meestal zijn de verschijnselen echter nogal vaag en variëren ze in de tijd.

    Bij rassen die met een erfelijke afwijking te maken hebben, is het van belang te voorkomen dat de erfelijke ziekte zich verder verspreidt in volgende generaties. Met de beschikbaarheid van DNA-testen zoals de test op PK-def kan dat.

 

  • PL (Patella Luxatie)

     

    Spieren in de achterpoot zorgen voor de beweging. Tijdens het buigen en strekken, glijdt de knieschijf (de patella) over het bovenbeen in een geultje. De vorm en diepte van de geul en het stevige gewrichtskapsel rond de knie zorgen dat de knieschijf in de geul blijft tijdens deze beweging.

    Patella luxatie is een te ‘losse’ knieschijf. Bij dieren met een afwijkende geul of kapsel kan de knieschijf echter zomaar uit de geul schieten (luxatie). Door het in en uit de geul schieten van de knieschijf worden de verstevigingen in het kapsel opgerekt. Ook kunnen beschadigingen ontstaan in het kraakbeen en het bot van de knieschijf en de geul.


    Naast deze directe schade ontstaat er ook secundaire schade in het kniegewricht. Deze slijtage (artrose) is een probleem dat altijd langzaam verergert. Op de langere termijn kan de kat hierdoor klachten ontwikkelen.

     

    In alle gevallen worden beide patellae van het te onderzoeken dier klinisch onderzocht in zowel een staande als liggende positie. Er zal onder geen enkel beding sedatie worden toegepast.